Cross lease titles are common in New Zealand, but they are often misunderstood.
What are cross lease titles? A cross lease title is a combination of owning a share of the entire parcel of land and having a right to lease a building on that land.
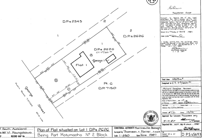
Refer to the plan below. For this example the underlying land is Lot 1 on DPS 2626.
In 1987 two flats (and a garage) were constructed and surveyed on Lot 1 DPS 2626. They are shown as Flat 1 and Garage 1 on DPS 45693 and Flat 2 on DPS 47605. A lease is registered for Flat 1 and Garage 1 on DPS 45693 and a lease is registered for Flat 2 on DPS 47605.
Each flat can be separately owned.
The two owners share ownership of Lot 1 DPS 2626 (the underlying land) and but own the lease of their flat outright. The owners are each issued with a title for their interest in the property.
The title is made up of two legal estates: a share in the fee simple estate (the underlying land) and the leasehold estate for the flat. The owner of that title is both:
a landlord (as co-owner of the fee simple estate, also known as the ‘lessor’) in relation to the other flats on the land;
and a tenant (as owner of the lease – the ‘lessee’), in relation to the lease that they own (which will be for the flat they occupy).
The terms of the lease are critical – they govern how each leaseholder may use the flat and the land around the flats.
The lease gives the owner of that lease the right to occupy the flat to the exclusion of all others.
The lessee (flat owner) also owns a share in the land which gives them a right to use the common areas (any area which is not leased), however this is modified by the terms of the leases which will contain covenants (covenants are like ‘promises in an agreement’) to restrict who may use certain areas of the land (called ‘restricted use covenants’, also known as creating ‘exclusive use areas’).
Common Problems with Cross Lease Titles and Solutions:
The Problem: Unauthorised Structures
Typically leases include a covenant that each lessee will not make structural alterations to their flat or erect on the land any building, structure or fence without the prior consent of the lessors (i.e. all the other owners).
Yet, owners forget this restriction and extend their flat, or build a detached garage or carport, or garden shed or erect fences without obtaining consent from the other lessors. Obtaining building consent for the structure, while necessary, does not remove the need to get lessor’s consent.
This can become an issue when the flat owner attempts to sell their property. The standard agreement for sale and purchase contains clauses that allow a purchaser to require the vendor to obtain lessors consent retrospectively (with repercussions under the agreement if the vendor cannot).
The Solution: Obtain retrospective consent from the other owners
Unauthorized structures can be consented to by the other owners retrospectively.
There is no specified process or form for obtaining that consent and there is no governing body (for example Council) who the consent is submitted to. Once owners have consent (from the other owners), they hold a copy in their own files to be able to present it to a purchaser as evidence they have consent (or that they have consented to another flat owners’ structures).
A surveyor does not need to be involved in this aspect. Owners could sign simple sketches or building consent plans – with sufficient detail to prevent the consent being challenged for ambiguity.
However, the owners may also decide it is best to update the Flats Plan to capture structures that are to be included in leased areas. In that case a surveyor will be involved and the solution described below under “Defective Title” can be pursued.
The Problem: Defective Title
Some alterations to a flat can create a ‘defect of title’ (even if those alterations were consented to by the other owners).
Typically, a lease is to the external dimensions of the flat as it was shown on the original flats plan. The space above and below the flat is part of the common area to which all the owners are entitled.
The lease may also create an ‘exclusive use area’, but this is not included in the legal leasehold estate, it is merely an area of land that the other cross lease owners promise not to occupy or use.
An issue arises when owners extend or alter the external dimensions of the flat or build structures in common areas.
Extensions are problematic because they will almost certainly be areas that enlarge the flat beyond the leased area – in which case the extensions encroach parts of the land that the owner has no legal right to occupy. Any extension that encroaches beyond the leased area (as originally defined), becomes a “defect of title” because the owner of the building cannot give “good title” for the extension. “Good title” for the extension, would be a lease that incorporates the extension.
Not all alterations/building work create a defect of title. Again, the issue tends to come up when selling a property and the standard agreement for sale and purchase includes terms to govern the process.
Under the standard terms of an agreement for sale and purchase, the following buildings or structures become matters of title that a purchaser may ‘object or requisition’ to:
buildings or structures that are alterations to the external dimensions of the leased structure which are attached and enclosed; and
buildings or structures not intended for common use and are situated on part of the land that is not subject to a restricted use covenant.
Solution #1: Updating the Flats Plan
Buildings or structures that create a defective title (not all structures will), are remedied with a new flats plan that captures the outline of the flat/leased building with the extension included. A surveyor must prepare the flats plan.
Typically, this solution will be driven by a recent requisition under an agreement for sale and purchase. That requisition will help inform which structures should be included in the updated flats plan. However, a new flats plan could also be created ‘by agreement’ between all the owners, especially if multiple owners have structures they need added to the flats plan.
The old lease is surrendered, and a new lease is registered for the new flat shown on the new flats plan. A solicitor will prepare and register these documents.
The process needs input from Council and is classified as a subdivision (under the Resource Management Act and the relevant District Plan). Complications can arise if structures did not have building consent or breach District Plan rules. However, these issues can be navigated.
The process also needs the timely cooperation of all the cross lease owners. Leases are a legal right to occupy the land and cannot be unilaterally removed or created. They are surrendered by agreement between the lessor (all the owners of the land) and the lessee (the tenant). Likewise, they are created by agreement between the lessor and the lessee.
Other parties who have a role to play:
Any mortgagee of a cross lease title needs to surrender its mortgage over the old lease and give a new mortgage over the new lease.
The flats plan and the leases are submitted to Land Information New Zealand (LINZ), who ‘deposit’ the flats plan and register the lease(s) and issue the updated title. LINZ do not assess what should and should not be included in the flats plan.
Solution #2: Conversion to Fee Simple (freehold)
Another approach that ought to be considered is to convert the existing titles from cross lease to fee simple. That is, to subdivide the fee simple estate of the land outright in a spatial sense. Each cross lease title is converted to a fee simple title so that each cross lease owner becomes the outright owner of their respective part of the land – the leases are removed altogether.
This does not eliminate the need to involve Council, all the owners and their banks, but it does produce a better outcome in that the resulting title will never be vulnerable to the same issues again.
It does introduce scrutiny about the services to the flats. Council will most likely require that each flat has separate services (separate connections for water, wastewater, stormwater, power and telecommunications). Council’s approval of the subdivision will likely be contingent on separate connections being put in place where necessary (which adds cost).
And conversion to fee simple may not be the best solution for all cross lease properties, for example strata cross leases (vertically stacked cross leases), may be better suited to conversion to Unit Titles.
Conclusion
Cross lease properties are inherently vulnerable to:
Unintentional breaches of the lease with buildings and structures that were not consented to by the other owners; and
Buildings and structures that create defects of title.
The issues are typically picked up when an owner attempts to sell their property.
Buildings and structures that are a breach of the lease because lessors’ consent was not obtained are readily ‘fixed’ by retrospectively obtaining consent from the other owners. A surveyor does not need to be involved in this step.
Buildings and structures that the parties want to include in the leased areas must be added to the flats plan. A surveyor is involved in this step. The solicitor prepares documents to surrender the old lease and register the new lease and manages any mortgagees. Council must give subdivision consent and LINZ processes and deposit the flats plan and lease documents.
What buildings and structures are included in the flats plan depends on what the parties want. For example,
The owner may want to include what is required to satisfy a requisition under a sale agreement only; or
The owners may jointly decide to change the leased areas to include structures that would not create a title defect under a sale agreement.
The process to update a flats plan needs close coordination between the solicitor and the surveyor.
It may be preferable to convert to fee simple titles, but this carries the additional burden of ensuring all properties have separate services.




