Land surveying for all types of subdivisions in the greater Hamilton, Waikato area.
Here to help with your next Waikato subdivision project.
We have experience in all types of subdivision developments, including rural, urban, greenfield, infill, commercial, industrial, and unit title.
We work with experienced property developers and those new to the game. We can provide full project management guidance for the entire process or get involved just when our services are critical.
Our established team has proven experience with large greenfield subdivisions, smaller infill development and everything in between.
Our Subdivision Services Include:
Scheme plan design
Obtaining resource consent from Councils
Infrastructure and grading design
Liaising with other consultants (eg engineers, ecologists, architects)
Liaising with all authorities including Regional and Local, Waka Kotahi (NZTA), Heritage New Zealand and iwi.
High level construction supervision and collecting as-built data
Satisfying Council that the subdivision has been completed to its requirements
Preparing the final subdivision plan
Liaising with other parties to obtain titles at the end of the process.
For a modest fee, we can help you establish whether a subdivision of your land is possible with a high level, desktop, feasibility assessment. We assess the property against the relevant District Plan rules, consider the new infrastructure requirements and capabilities and prepare a concept plan and development budget. With this information you can make an informed decision.
We understand where the risk and costs lie with subdivisions. We know Council processes. We can guide you to a successful outcome.
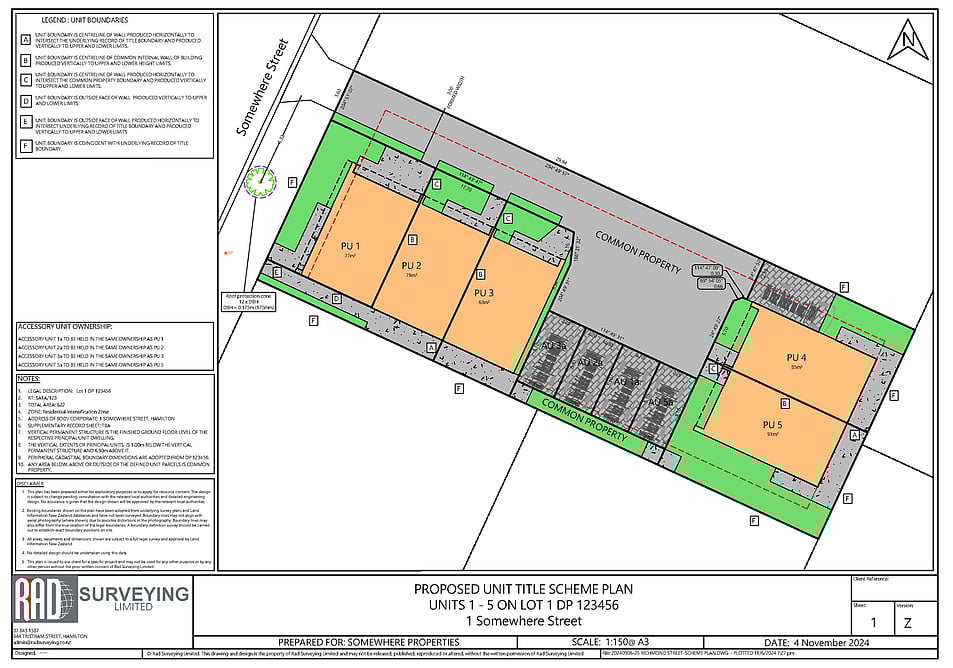
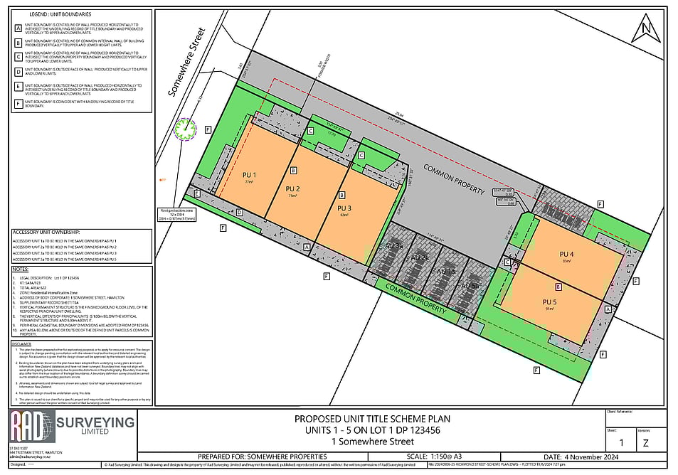
Subdivision Scheme Plan Examples
Select any image to enlarge and view in further detail.
"The Rad team have been outstanding. Super responsive and very helpful on a recent residential subdivision in Hamilton. Highly recommended."
- Rene Swindley
"We are delighted with the service from Troy and the team at Rad Surveying Ltd. Everything has been done quicker than we expected, and we have been extremely happy with the results. Looking forward to working with Rad Surveying Ltd again on the next project.
As a Property Accountant, I recommend Rad Surveying Ltd to my clients, and have seen lots of great results over the years."
- Ross Barnett




